Cerca l'immobile giusto per te

Inserisci rif. immobile

Oppure scegli il tipo di contratto

Tipo di proprietà
Provincia
Superficie
Numero di locali
Fascia di prezzo
Agenzia
Caratteristiche
1094 Immobili trovati

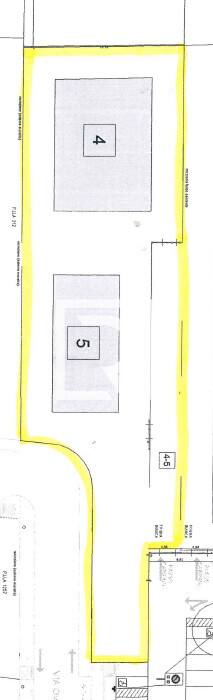
LOTTO EDIFICABILE A PINARELLA DI CERVIA


830.000,00 € IM-14510

Cervia - OVIDIO ---

ca. 1.980 m²
render illustrativo
CATTURA IMMAGINE
Descrizione dell'immobile

Proponiamo in vendita un Lotto Edificabile Unico a Pinarella di Cervia, posizionato strategicamente in una zona residenziale di pregio.

La vicinanza a tutti i servizi essenziali (supermercati, negozi, ristoranti) unita alla comodità di raggiungere il mare e la pineta in pochi minuti garantisce un elevato appeal per la futura rivendita o locazione delle unità.

Massima Resa Edificabile: Il lotto permette la realizzazione di un progetto ambizioso con la possibilità di edificare fino a 8 UNITÀ ABITATIVE, rendendolo ideale per condomini o villette plurifamiliari.

Il lotto viene venduto GIÀ URBANIZZATO, eliminando tempi e costi per gli oneri e i lavori di urbanizzazione primaria. Inizia subito a progettare!

- Edificabilità Massima 712,80 mq

- Unità Massime Realizzabili 8

- Altezza Massima Fino a 6,10 metri

- 16 POSTI AUTO di proprietà

NON PERDERE QUESTA OCCASIONE PER SVILUPPARE UN PROGETTO DI SUCCESSO SULLA COSTA ROMAGNOLA.

Le immagini sono dei render e sono a scopo puramente illustrativo

Per visionare la documentazione completa, le planimetrie e fissare un appuntamento in loco, si prega di contattare: DONATO SANTORO 339 2385884 E-mail: d.santoro@romagnacase.it - cervia@romagnacase.it

Anno di costruzione:
Scheda dati dettagliata
Codice immobile
IM-14510
Genere
Residenziale
Contratto
vendita
Tipologia
Terreno
Città
Cervia
Cap
48015
Provincia
Ravenna
Via/Viale/piazza
OVIDIO
Numero civico
---
Zona
Pinarella
Superficie
ca. 1.980 m²
Garage
No
Balcone
No
Terrazza
No
Prezzo
830.000,00 €
Planimetria
planimetria
Permuta il tuo immobile
Come funziona la permuta immobiliare?
Agente immobiliare Donato Santoro
Donato Santoro

ROMAGNA CASE _ CERVIA MI.MA. viale oriani 14 48015 Cervia
Richiedi informazioni